
▲鳳凰颱風持續增強中。(圖/翻攝easterlywave)
記者陳俊宏/台北報導
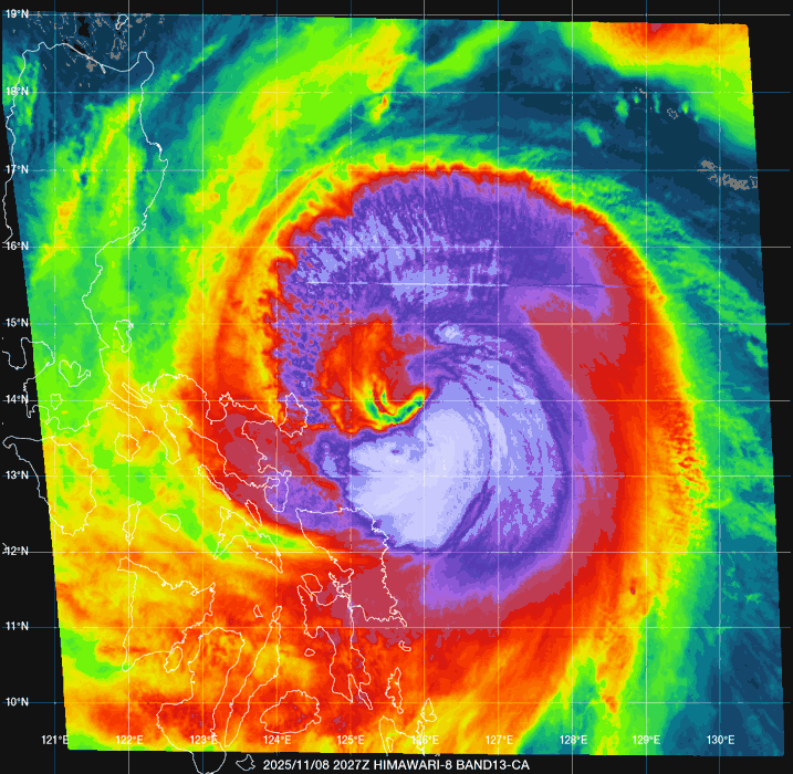
中度颱風鳳凰來勢洶洶,中央氣象署預報員賴欣國表示,鳳凰今天有可能變強烈颱風,也是它強度最強時;預估最快周一發海上警報、周二發陸上警報,登陸機率較高,周三晚間到周四最接近。
氣象署說,今天各地大多為多雲到晴的天氣,只有迎風面基隆北海岸、大台北山區、東半部、恆春半島偶有零星短暫雨;下午起東北季風增強,基隆北海岸、東北部、大台北地區轉為局部短暫陣雨。

▲▼今雨區預報圖。(圖/氣象署)

賴欣國接受《ETtoday新聞雲》訪問指出,鳳凰颱風今天可能變強颱,今日也是它強度最強時;預估今晚穿過呂宋島,周一進入南海,屆時先轉西北、北北西再轉北,周三晚到周四一整天最接近台灣。
賴欣國提到,最快周一發海警、周二發陸警,登陸機率較高,可能登陸中部以北。至於全台都可能納入警戒區嗎?他表示,仍得看颱風路徑怎麼走,還有變化,得持續觀察。
▼最新鳳凰颱風路徑潛勢預報圖。(圖/氣象署)

氣象署預報,周一、周二受颱風外圍環流及東北季風影響,有機會出現共伴效應,使雨勢有更加明顯的趨勢,基隆北海岸、大台北、東半部、恆春半島有陣雨,並有大雨或局部豪雨發生的機率,尤其東北部、大台北、東部山區並有局部豪雨等級以上發生的機率,其他地區亦有局部短暫陣雨。
氣象署提醒,周三、周四颱風及其外圍環流及東北季風影響,整體降雨強度將受颱風屆時強度及路徑而定,周三颱風中心逐漸接近西半部,在中南部、花東部有陣雨,並有大雨或局部豪雨機率,北部及東北部有短暫陣雨;周四隨著颱風逐漸減弱並遠離,降雨強度將會趨緩,中部以北、東北部及恆春半島有短暫陣雨,其他地區亦有局部短暫陣雨。
▼未來降雨趨勢。(圖/氣象署)

