
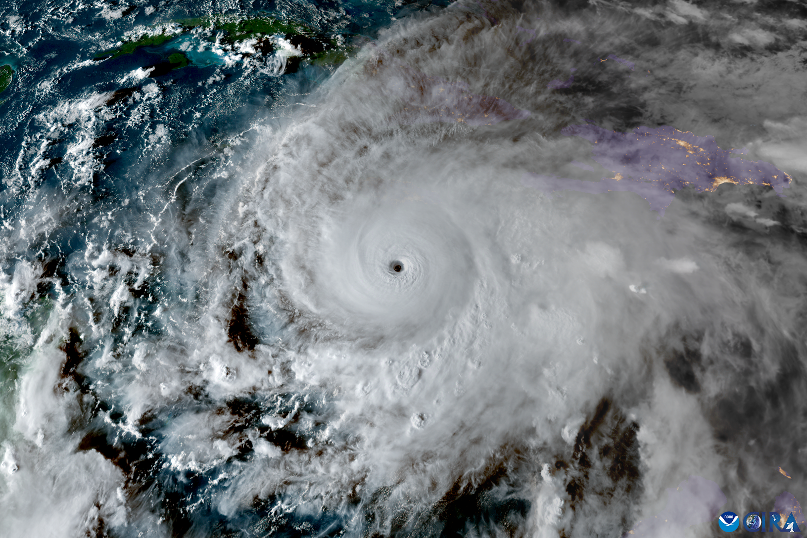
▲梅麗莎颶風爆發性增強,結構完美。(圖/翻攝NOAA)
記者許力方/綜合報導
梅麗莎(Melissa)颶風暴風增強為5級颶風,且以接近人類步行的速度緩慢地移動,即將侵襲牙買加,預估其暴風圈將帶來致災性洪水、山崩與危及生命的破壞力,可能成為自有史以來侵襲該島最強的颶風,當地已經發布大規模「強制疏散令」。
美國有線電視新聞網(CNN)報導,梅麗莎颶風幾乎呈現一個完美的圓形,颱風眼清晰可見,可見其威力巨大,眼內天氣相對平靜,周圍環繞著最猛烈強風的眼牆結構,截至目前,其眼牆仍在上演「閃電秀」,顯示颶風內存在大量雷暴活動,也意味著颶風強度還在增強。
美國國家海洋暨大氣總署(NOAA)指出,梅麗莎仍在增強並靠近牙買加,近中心風速還有變強趨勢,且以人類的標準來看,梅麗莎過去的移動速度相當緩慢,幾乎是以人類步行的速度、每小時3英里(約5公里)移動,也因其緩慢的速度,加上環境條件改善,使它在周末爆發性增強為5級颶風,也是大西洋有史以來第45個5級颶風。
根據牙買加歷史,自1851年有可靠紀錄以來,從未有5級颶風登陸過當地,已知影響最劇烈的一次是1988年的吉爾伯特4級颶風,摧毀了超過10萬棟房屋,造成45人死亡,這次當局啟動大規模疏散命令,呼籲居民前往政府設立的800個避難所,「去地勢高的地方,否則可能危及性命。」
