
▲梅麗莎成為今年最強風王,中心即將登陸牙買加。(圖/翻攝NOAA)
記者許力方/綜合報導
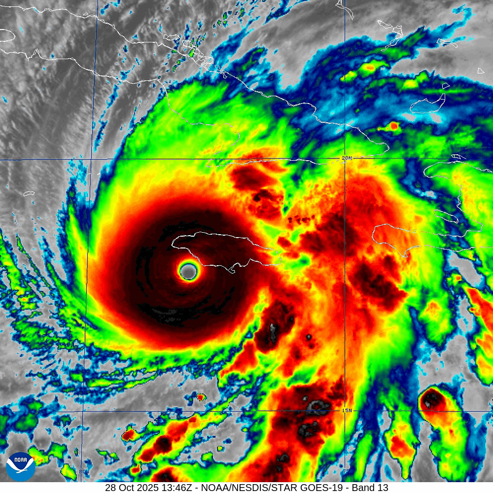
今年「風王」換人做,大西洋加勒比海附近的「梅麗莎」(Melissa)颶風在經歷了爆發性增強後,成為罕見的5級颶風,並持續達到最高上限等級的風速,穩坐今年全球最強風王,預估颶風中心即將登陸牙買加,世界氣象組織(WMO)示警,梅麗莎將成為牙買加災難性的「世紀風暴」。
前中央氣象局長鄭明典今(28日)也指出,梅麗莎已經達到「衛星強度判定的最強等級」,具有清晰的颱風眼,周圍密雲區有著均勻的極低溫雲頂,美國國家颶風中心判定其中心最大平均風速達150kt(節),陣風185kt,屬於最強等級的第5級颶風。稍早他更直呼「颶風中心旁邊是牙買加,這個地方的基礎建設擋不住這種強度的颶風,很可怕的颶風!」

▲梅麗莎已達到衛星強度判定的最強等級 。(圖/翻攝NOAA/CIRA)

▲梅麗莎颶風中心視角「體育場效應」。(圖/翻攝X/Tropical Cowboy of Danger)
美國有線電視新聞網(CNN)則報導,梅麗莎中心在靠近牙買加時再次增強,預計將在今晚登陸,最具破壞力、時速高達180英里的眼牆附近暴風區,即將侵襲當地,並成為該島史上遭遇最嚴重的風暴,WMO也將這次登陸稱為牙買加的世紀風暴,當局已下令強制撤離沿海地區的居民至避難所。
牙買加媒體更示警稱,降雨可能會讓島上山上的水像「滑水道」般傾瀉而下,導致致災性洪水接近海平面,建議居民遠離「水源」。
美國也派出颶風獵人前往颶風中心,由風眼視角,可明顯看見「體育場效應」,高聳雲層相當壯觀。CNN指出,美國國家海洋暨大氣總署(NOAA)颶風中心觀測,梅麗莎接近登陸可能正進入眼牆置換循環階段,會像蛇蛻皮一樣,捨棄就眼牆、在外圍形成新的更大的眼牆,往往會導致結構與強度的變化,不過就梅麗莎而言,無法帶來實質影響。
A thread of videos from today’s flight into Hurricane Melissa
— Tropical Cowboy of Danger (@FlynonymousWX) October 27, 2025
In this first one we are entering from the southeast just after sunrise and the bright arc on the far northwest eye wall is the light just beginning to make it over the top from behind us. pic.twitter.com/qGdpp7lbCN
